Accueil

Cryptogamie, Algologie 32 (3)

Publié le
26 août 2011




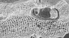
en Morphology-anatomy of Mesophyllum macroblastum (Hapalidiaceae, Corallinales, Rhodophyta)in the Northern Adriatic Sea and a key to Mediterranean species of the genus

Sara KALEB et al.

223-242, Publié le 26 août 2011, art. 32 (12)

en Distribution and morphological variation of Aphanizomenon platensis (Nostocales, Cyanobacteria) from Corrientes Province (Argentina)

Marina E. FORASTIER et al.

243-253, Publié le 26 août 2011, art. 32 (13)

en A taxonomic study of the genus Closterium Nitzsch ex Ralfs (Zygnematophyceae, Streptophyta) in temporary ponds in the Burkina Faso, West Africa

Bilassé ZONGO et al.

255-270, Publié le 26 août 2011, art. 32 (14)

en First records of marine benthic algae from Swains Island, American Samoa

Roy T. TSUDA et al.

271-291, Publié le 26 août 2011, art. 32 (15)

en Choreonema thuretii and Pneophyllum confervicola (Corallinales, Rhodophyta), new records of coralline algae for the Azores

Ruben P. COUTO et al.

293-299, Publié le 26 août 2011, art. 32 (16)

fr Une station actuelle de Lychnothamnus barbatus (Charophyceae) en Italie Centrale : le Lac de Martignano (Latium)

Mattia M. AZZELLA & Nadia ABDELAHAD

301-307, Publié le 26 août 2011, art. 32 (17)